Sarulesti - Sandulita

Scrie răspuns
Avatar utilizator
meo_mdc
senior
senior
Mesaje: 415
Membru din: 14 Feb 2009, 11:11
Localitate: Bucuresti

Re: Sarulesti - Sandulita 2012

Mesaj de meo_mdc »

Am fost eu vineri. Caldura exagerata . Am pescuit de la 11 pana pe la 4 cu un singur bat - sheffield verificand diferite praguri. Rezultatul : aprox 12 kg platica dintre care doar vre'o 4 kg retinute ( restul erau foarte mici si au facut cale intoarsa ).
MLDD
Avatar utilizator
intef
senior
senior
Mesaje: 315
Membru din: 10 Apr 2011, 15:29

Re: Sarulesti - Sandulita 2011

Mesaj de intef »

Meo,cum naibii reusesti sa eliberezi platica?Anul trecut eram cu un amic si cu nea Marin pe balta,era cam prin aprilie.Tocmai imi povestea ceva despre Londra(sau nu mai stiu exact,acolo unde este plecata fata dumnealui),prind o platica mai mica decat palma,ii scot carligul si o arunc in apa.Deci nu vrei sa-ti mai spun ce reactie a avut nea Marin!Am crezut ca ma da afara de pe balta in suturi!!! =)) =)) =)) Acum ma amuz cand imi amintesc,dar atunci era o situatie penibila,pur si simplu ridicase tonul la mine,foarte putin a lipsit sa nu-l trimit dupa platica eliberata.Ploua des si marunt,era joi,probabil nu-i convenea ca trebuie sa stea dupa doi pescari pe timpul ala,nu stiu ce a fost cu el...De asta te intreb,nu ti-a spus niciodata nimic cand ai eliberat pestele?
Avatar utilizator
intef
senior
senior
Mesaje: 315
Membru din: 10 Apr 2011, 15:29

Re: Sarulesti - Sandulita 2011

Mesaj de intef »

A,NU UITA DE PM!!!
Avatar utilizator
meo_mdc
senior
senior
Mesaje: 415
Membru din: 14 Feb 2009, 11:11
Localitate: Bucuresti

Re: Sarulesti - Sandulita 2012

Mesaj de meo_mdc »

Iata si 2 fotografii facute vineri 13.07.2012
Fişiere ataşate
IMAG0352.jpg
IMAG0351.jpg
MLDD
Avatar utilizator
intef
senior
senior
Mesaje: 315
Membru din: 10 Apr 2011, 15:29

Re: Sarulesti - Sandulita 2011

Mesaj de intef »

Atat de mult a scazut apa? Si ce loc ti-ai ales,la bariera? Sau pentru ca este malul mai inalt in spate,era mai umbra?
Avatar utilizator
meo_mdc
senior
senior
Mesaje: 415
Membru din: 14 Feb 2009, 11:11
Localitate: Bucuresti

Re: Sarulesti - Sandulita 2012

Mesaj de meo_mdc »

Da apa era foarte scazuta. Am stat acolo doar pentru ca era liniste + cei din stanga pescuiau din apa si nu imi place nici metoda nici sa pescuiesc langa ei - nu da randament.Nu am nimic impotriva pescarilor care folosesc acest stil dar prefer in general sa evit aglomeratia.
MLDD
Avatar utilizator
intef
senior
senior
Mesaje: 315
Membru din: 10 Apr 2011, 15:29

Re: Sarulesti - Sandulita 2011

Mesaj de intef »

Cred ca ei au ales sa pescuiasca din apa mai ales din cauza caldurii,altfel,acolo pragul este mai in fata...
Avatar utilizator
meo_mdc
senior
senior
Mesaje: 415
Membru din: 14 Feb 2009, 11:11
Localitate: Bucuresti

Re: Sarulesti - Sandulita 2012

Mesaj de meo_mdc »

E si asta un motiv, ai dreptate :)
MLDD
Avatar utilizator
meo_mdc
senior
senior
Mesaje: 415
Membru din: 14 Feb 2009, 11:11
Localitate: Bucuresti

Re: Intrebare

Mesaj de meo_mdc »

Pe unde mai umblati fratilor? ( Asta daca mai are cineva curaj sa umble pe caldura asta - atat pescari cat si pesti..)
MLDD
Avatar utilizator
robert048
senior
senior
Mesaje: 418
Membru din: 21 Mar 2011, 23:10
Localitate: bucuresti

Re: Sarulesti - Sandulita 2011

Mesaj de robert048 »

Pe la dunare la oltenita dar fara rezultate inafara unor obleti foarte gustosi de altfel.
Avatar utilizator
intef
senior
senior
Mesaje: 315
Membru din: 10 Apr 2011, 15:29

Re: Sarulesti - Sandulita 2011

Mesaj de intef »

Nimeni pe la Sandulita? O mai fi apa tot atat de scazuta?
Avatar utilizator
meo_mdc
senior
senior
Mesaje: 415
Membru din: 14 Feb 2009, 11:11
Localitate: Bucuresti

Re: Sarulesti - Sandulita 2012

Mesaj de meo_mdc »

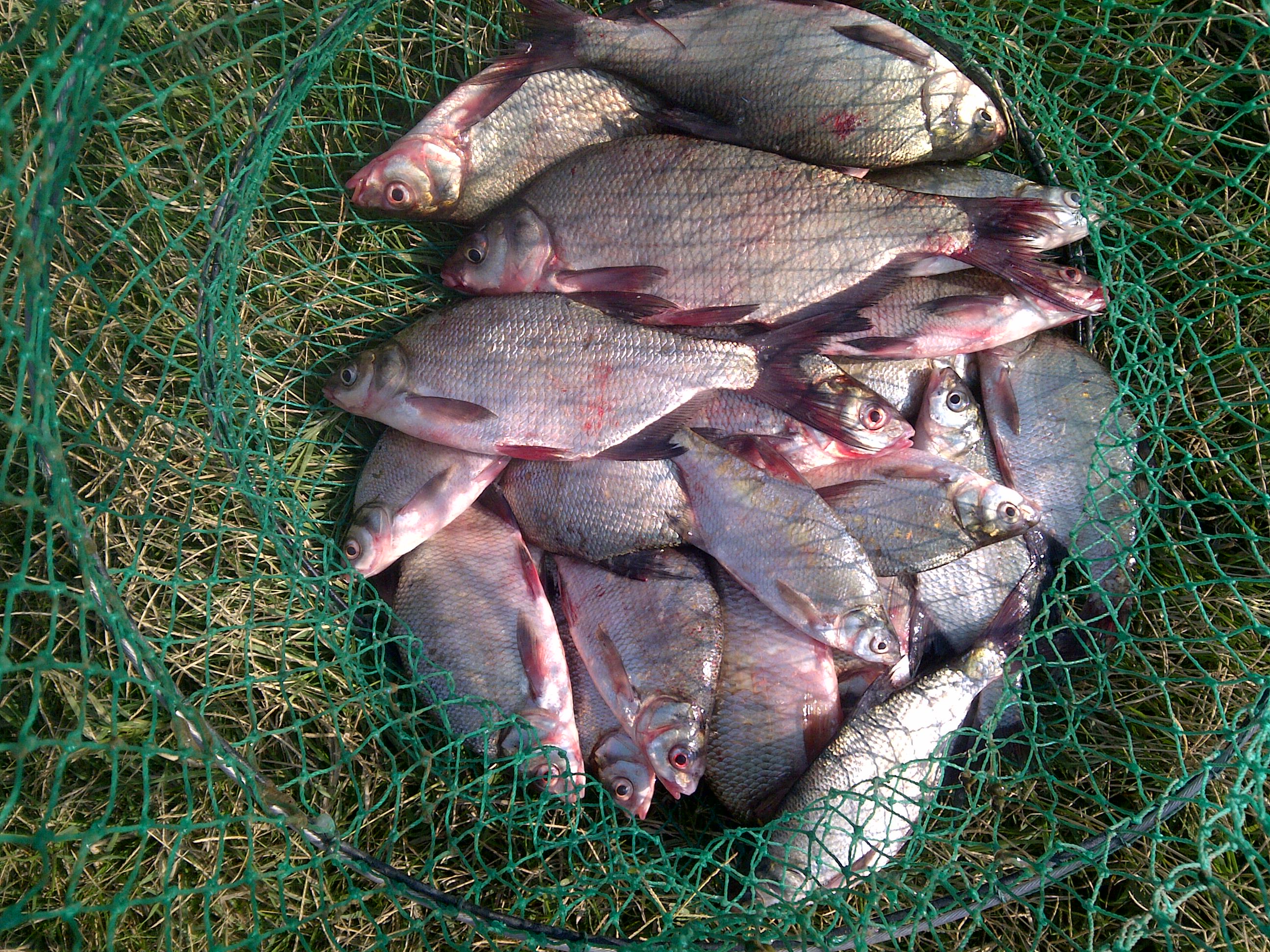
Eu nu am mai fost , din pacate , de foarte mult timp pe acolo sau pe la peste in general, pentru ca nu imi permite timpul. In schimb a fost un prieten Sambata si a zis ca apa era la fel de scazuta. Am mai vorbit la telefon de cateva ori cu nea Marin si mi-a zis ca pestele a inceput sa manance mai binisor dupa scurta perioada cu temperaturi mai scazute si cateva ploi. Mai mult de cat atat am inteles ca a reinceput sa intre carasul. Atasez o poza facuta de amicul meu Sambata.
Fişiere ataşate
Platica.jpg
MLDD
Avatar utilizator
intef
senior
senior
Mesaje: 315
Membru din: 10 Apr 2011, 15:29

Re: Sarulesti - Sandulita 2011

Mesaj de intef »

Slabut... :))
Avatar utilizator
meo_mdc
senior
senior
Mesaje: 415
Membru din: 14 Feb 2009, 11:11
Localitate: Bucuresti

Re: Sarulesti - Sandulita 2012

Mesaj de meo_mdc »

Da.. nu e cel mai bun pescar de stationar :) Imaginea era doar asa de ansamblu, pt ca vad ca nu mai scrie nimeni nimic pe aici.
MLDD
Avatar utilizator
tigy
junior
junior
Mesaje: 4
Membru din: 24 Sep 2011, 20:32

Re: Sarulesti - Sandulita 2011

Mesaj de tigy »

Salutare tuturor. dupa ce am citit comentariile voastra despre sandulita m-am hotarat sa ma duc si eu la pescuit la platica. Asa ca pe 25,08 am fost prezent pe balta la 06.00. n-am stiut pe unde sa ajung la bariera asa ca am intrat pe partea cealalta(s-a cam suparat nea Marin dar ia trecut). am prins pana la 13,30 20 kg platica frumoasa. au mai venit si cateva mai micute dar per total a fost foarte ok. am pescuit la bat de 7 si de 6 m. la vierme si patratica.Balta, spre deosebire de altele isi merita banii. o zi buna tuturor
Scrie răspuns

Înapoi la “Balti, iazuri si ferme piscicole”