Olt
- adrianpitesti
- utilizator

- Mesaje: 33
- Membru din: 16 Mar 2008, 19:22
Re: Olt
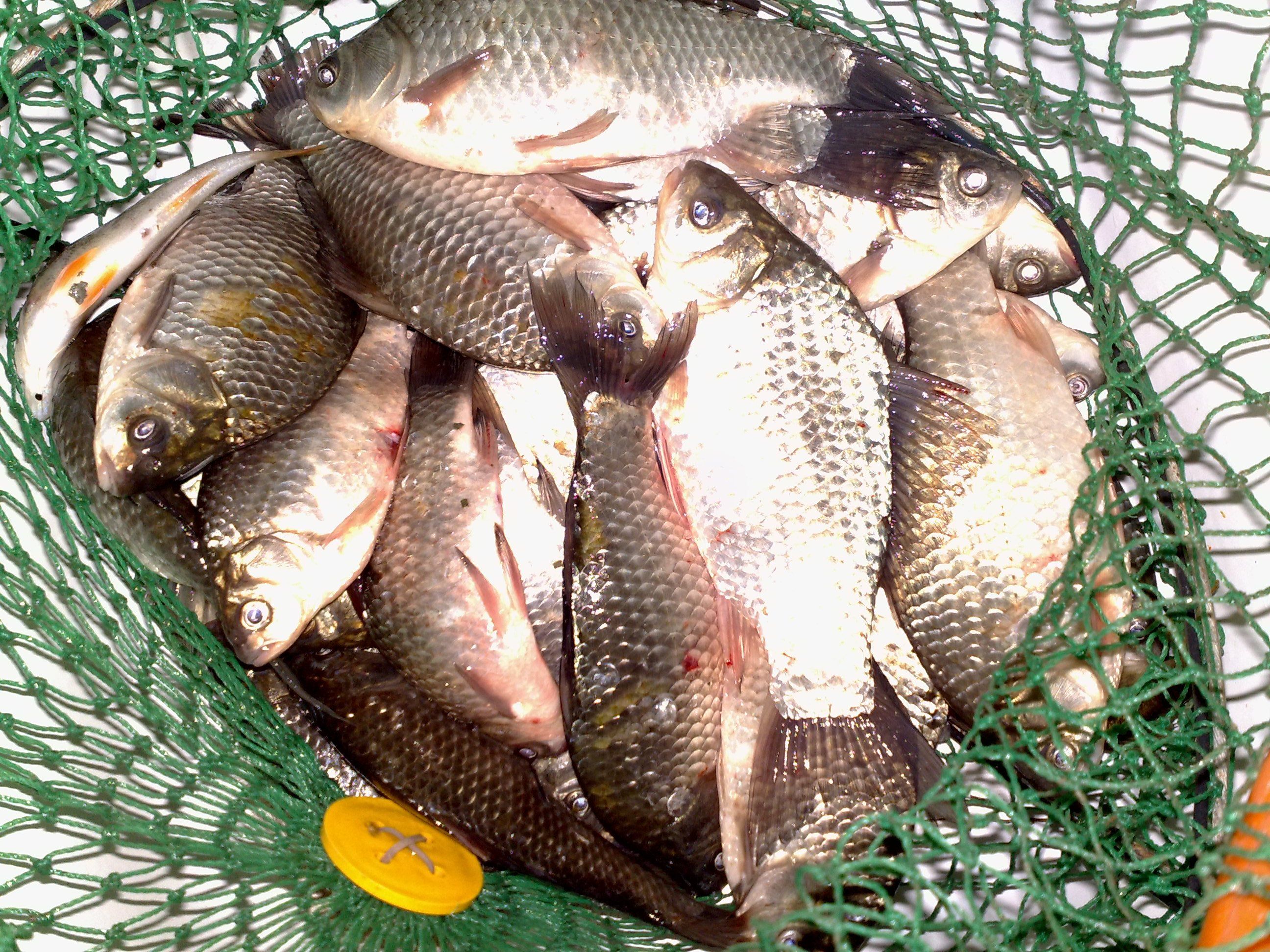
salut pescari sportivi de olt:am fost acum 4zile la babiciu si pot sa spun k pestele e activ am prins caras mare numai noaptea ziua poti sa stai linistit k nu vezi trasatura,am sa plec astazi dupa amiaza si o sa vin marti o sa revin cu detalii fir intins 
- Allen Besnovich
- Veteran

- Mesaje: 1061
- Membru din: 26 Oct 2009, 16:25
- Localitate: Craiova
- Contact:
Re: Olt
Salutare. Am fost Sambata la Farcasele, am prins caras frumos. In jur de 20 de bucati de dimineata pana seara la 4. Pescari foarte multi, abia ai loc sa arunci o undita. O sa revin si cu poze, cand le descarc.
C.S. OLTENIA FISHING
- Allen Besnovich
- Veteran

- Mesaje: 1061
- Membru din: 26 Oct 2009, 16:25
- Localitate: Craiova
- Contact:
- adrianpitesti
- utilizator

- Mesaje: 33
- Membru din: 16 Mar 2008, 19:22
Re: Olt
am prins vreo 30bucati intre 400-800g caras numai noaptea,se putea si mai bine dar au umblat la apa in a doua noapte de la ora 2 nu am mai prins nimk,o sa mai fac o partida la ipotesti saptamana viitoare si cred k si ultima pe anul asta fir intins
- Allen Besnovich
- Veteran

- Mesaje: 1061
- Membru din: 26 Oct 2009, 16:25
- Localitate: Craiova
- Contact:
Re: Olt
Ce se mai aud cu pescuitul pe Olt ? Ma intereseaza in special in zona Slatioara...!
C.S. OLTENIA FISHING
- stefan_kwr
- Veteran

- Mesaje: 683
- Membru din: 25 Mar 2009, 20:23
- Localitate: Craiova
- Contact:
Re: Olt
La ce ai prins carasu alin (scule, momeala)???
- Allen Besnovich
- Veteran

- Mesaje: 1061
- Membru din: 26 Oct 2009, 16:25
- Localitate: Craiova
- Contact:
Re: Olt
L-am prins cu lansetele de crap
Dupa partida aia, mi-am adaugat in trusa 2 lansete cu actiunea de 40g, pentru ca e sinucidere la caras cu lansetele de crap, faci febra la greu.
Momeli rama rosie (Cred ca merge de orice fel) si viermusi. Am incercat si la mamaliga dar fara rezultate.
As vrea sa mai merg odata acolo dar nu prea imi permite vremea. Stabilisem o partida pentru maine dimineata dar s-a amanat pentru ca ploua.
Momeli rama rosie (Cred ca merge de orice fel) si viermusi. Am incercat si la mamaliga dar fara rezultate.
As vrea sa mai merg odata acolo dar nu prea imi permite vremea. Stabilisem o partida pentru maine dimineata dar s-a amanat pentru ca ploua.
C.S. OLTENIA FISHING
Re: Olt
Destul de bine zic eu , niste amici de ai mei au fost la Babiciu si nu merge deloc , apa foarte limpede , te rupe guvidele si somotelul foarte mic , sa speram ca vor veni si perioade mai bune , din ce am auzit la Rusanesti ar fi la fel ...sorinbv scrie:AM FOST LA DRAGANESTI SI AM PRINS CAM 5 KG DE CARAS. S-A PRINS SI UN CRAP LA VREO 5 KG

